Nosso site usa cookies. Para continuar navegando em nosso site, você estará aceitando nossos termos de uso e cookies Leia mais aqui...
Geral
Wilson Lima coordenada ações do Estado onde ponte na BR-319...
A segunda prioridade, segundo o governador, é tornar a rodovia trafegável o mais...
Veículos caem em rio após ponte desabar na BR-319, no AM;...
Incidente ocorreu em Careiro, a 102 km de Manaus; PRF diz que ponte estava parcialmente...
Amazonas confirma mais oito casos de varíola dos macacos;...
Novos casos tratam-se de homens, entre 22 a 30 anos, residentes em Manaus.
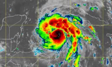
Furacão Ian passa para categoria 3 e atinge oeste de Cuba
Foram registrados ventos máximos sustentados de 205 quilômetros por hora
”Vamos virar a página da história política desse estado”,...
Ao lado de Wilson, prefeito David Almeida afirma que tomou a decisão certa em apoiar...
TV Globo e afiliadas promovem debates entre candidatos...
Os debates, que terão transmissão ao vivo pelo g1, vão ao ar após a exibição da...
Amazon anuncia segundo Prime Day do ano em 15 países
“Prime Early Access Sale” estará disponível na China, França, Canadá, Reino Unido...
Em teste de defesa da Terra, Nasa colide nave com asteroide...
Segundo agência espacial, sucesso da missão é fundamental para traçar um plano estratégico...
Categorias têm piso salarial aprovado no Congresso, mas...
Cerca de 50 propostas para criação de pisos, como farmacêuticos, psicólogos e nutricionistas...
Pouso mal sucedido faz com que avião cargueiro pare à beira...
Nariz do Boeing 737 parou dentro do lago no fim da pista de pouso em Montpellier....
'Estou com medo de sair de casa', diz jovem agredida por...
Estefane Laudano não gosta de política, mas trabalhava na distribuição de panfletos...
Vírus novo semelhante ao da Covid pode atacar humanos,...
Patógeno encontrado em morcegos tem potencial para infectar células humanas. Pesquisador...



